Máxima alerta en el Caribe

C-130 J Hércules de los EE. UU. volando dentro del ojo del terrible Huracán Melissa de Categoría 5

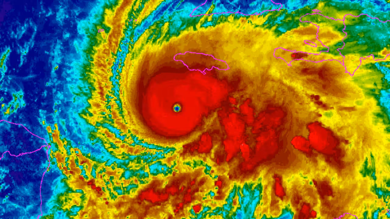
El Huracán Melissa se ha intensificado hasta alcanzar la categoría 5, con vientos sostenidos superiores a los 280 km/h, mientras avanza lentamente hacia Jamaica. La tormenta, considerada potencialmente la más fuerte en impactar la isla desde el inicio de los registros en 1851, amenaza con inundaciones catastróficas, deslizamientos y daños de gran escala. Las autoridades han ordenado evacuaciones en zonas costeras y advierten de una posible crisis humanitaria.
Huracán Melissa, 12:40 p.m. ET Octubre 27, 2025. (National Oceanic and Atmospheric Administration)
Huracán Melissa, 12:40 p.m. ET Octubre 27, 2025. (National Oceanic and Atmospheric Administration)

El Caribe vuelve a estar bajo una amenaza extrema. Melissa, ya clasificado como huracán de categoría 5 —el nivel más alto en la escala Saffir-Simpson— continúa fortaleciéndose sobre aguas cálidas mientras se acerca a la isla de Jamaica. Según el Centro Nacional de Huracanes de Estados Unidos, el sistema registra vientos máximos de 175 mph (280 km/h) y avanza lentamente hacia el noroeste, una combinación especialmente peligrosa debido a que prolonga el tiempo de impacto en tierra.

Imágenes captadas desde el interior del ojo del huracán por un avión C-130J Hércules de la Fuerza Aérea estadounidense muestran una inmensa muralla de nubes rotando con precisión casi geométrica, lo que confirma la estructura “perfecta” y altamente destructiva del ciclón. En meteorología, estas condiciones son propias de huracanes con capacidad de devastación extrema.

Los pronósticos apuntan a que Melissa será el huracán más fuerte en golpear directamente a Jamaica desde que existen registros, superando al histórico Gilbert (1988) y a los huracanes Beryl e Iván, que aunque alcanzaron categoría 4, no llegaron a tocar tierra en la isla.

View from a USAF C-130 J Hercules flying inside the eye of a now monster Category 5 Hurricane Melissa that’s heading towards Jamaica
byu/NewSlinger inDamnthatsinteresting

Un país en estado de preparación máxima

Las autoridades han ordenado evacuaciones obligatorias en áreas propensas a inundaciones y marejadas ciclónicas. Pese a ello, muchos residentes siguen sin acudir a los refugios habilitados, en parte por experiencias negativas previas y por temor a dejar sus hogares.

El primer ministro, Andrew Holness, afirmó que se encuentra “en oración” por el país, mientras los equipos de emergencia refuerzan hospitales, redes eléctricas y centros de abastecimiento. Kingston podría enfrentar marejadas de hasta cuatro metros, lo que supondría un riesgo directo para infraestructuras críticas como el aeropuerto internacional Norman Manley y varias plantas energéticas.

Sin embargo, el impacto humano ya se siente. Melissa ha causado al menos seis muertes en el Caribe norte antes incluso de tocar tierra en Jamaica. En Haití y República Dominicana, ha destruido cosechas y aislado comunidades enteras en regiones que ya enfrentaban inseguridad alimentaria.

Repercusiones económicas y humanitarias

Para Jamaica, un golpe de esta magnitud puede traducirse en:

  • Daños severos en cultivos, en un país donde la agricultura sigue siendo base de sustento local.

  • Interrupciones en turismo y transporte, sectores clave para la economía.

  • Aumento en costos de seguros y reconstrucción, con implicaciones fiscales para el Gobierno.

Jonathan Porter, jefe de meteorología en AccuWeather, advirtió que “esto puede convertirse en una crisis humanitaria muy rápido” y anticipó que será necesaria asistencia internacional, tanto logística como financiera.

Mientras tanto, Cuba ha comenzado la evacuación de más de 600.000 personas en las provincias orientales, incluyendo Santiago de Cuba, donde se esperan lluvias torrenciales y marejadas significativas.

Una temporada que confirma las tendencias del clima extremo

Melissa es la decimotercera tormenta nombrada de la temporada y refuerza los pronósticos que apuntaban a un año muy activo en el Atlántico. El calentamiento de las aguas superficiales del mar, relacionado con el cambio climático, está intensificando la fuerza y la frecuencia de los huracanes de alto impacto.

Comentarios